1000 William Street

Planning Application No. SPA-06-19

  • Owner: Jason Redman
  • Agent: Not applicable
  • Phone: Not applicable
  • Email: Not applicable

Proposed Development

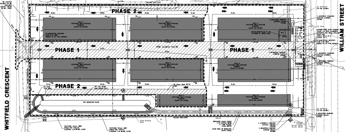
The purpose of the application is to construct a self-storage facility with 8)one-storey buildings on the subject lands in two phases. Phase 1 of the proposed development would include 3 self storage buildings, the driveway, retention basin and the associated site works. Phase 2 will include 5 self storage buildings and the associated site works.

Supporting Documents 

Status 

The Site Plan application has been approved.

 

Site Plan
Site Plan

 

Contact Us

Town of Midland
575 Dominion Avenue
Midland, ON L4R 1R2
Contact Us