823 King Street

Planning Application No. MD-T-0108

Applicant

  • Owner: Pratt Developments Inc
  • Agent: MHBC Planning (Kory Chisholm)
  • Phone: 705-728-0045 ext. 224
  • Email: kchisholm@mhbcplan.com 

Proposed Development 

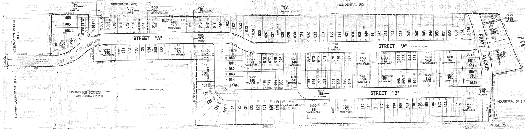
The application for draft plan approval was approved by Council in 2009, subject to a number of Draft Plan Conditions. The Plan of Subdivision consists of 105 lots for single-detached dwellings, 12 townhouse blocks totaling 91 townhouse units, and 8 blocks for future development.

 

Location Map
Location Map

 

Supporting Documents

Related Applications

The applicant has submitted a Zoning By-law application (ZBA-06-20) in conjunction with a Redline Revision application to modify and rezone the approved layout of the lots.

Status

The associated Zoning By-law Amendment application, Redline Revisions application, and an extension to the draft plan were approved by Council at its December 6, 2023 meeting, subject to a number of Conditions. The applicant is currently working towards clearing the Draft Plan Conditions.

 

Approved Plan of Subdivision
Approved Plan of Subdivision

 

Contact Us

Town of Midland
575 Dominion Avenue
Midland, ON L4R 1R2
Contact Us