Applicant
Owner: Pratt Developments Inc
Agent: MHBC Planning (Kory Chisholm)
Phone: 705-728-0045 ext. 224
Email: kchisholm@mhbcplan.com
Proposed Development
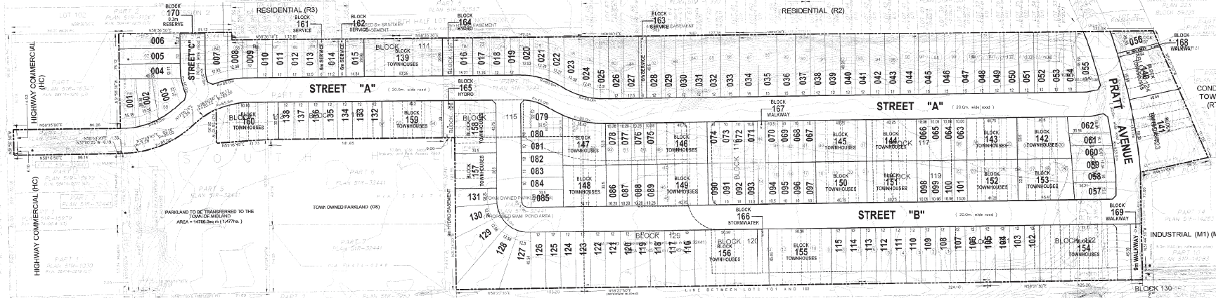
The application for draft plan approval was approved by Council in 2009, subject to a number of Draft Plan Conditions. The Plan of Subdivision consists of 105 lots for single-detached dwellings, 12 townhouse blocks totaling 91 townhouse units, and 8 blocks for future development.
Supporting Documents
Original Draft Plan of Subdivision
Redline Draft Plan of Subdivision
Status
The associated Zoning By-law Amendment application, Redline Revisions application, and an extension to the draft plan were approved by Council at its December 6, 2023 meeting, subject to a number of Conditions. The applicant is currently working towards clearing the Draft Plan Conditions.
Related Applications
The applicant has submitted a Zoning By-law application (ZBA-06-20) in conjunction with a Redline Revision application to modify and rezone the approved layout of the lots.

Location Map

