16533 Highway 12

Planning Application No. MD-T-0220

Applicant

  • Owner: Pratt Developments Inc and Barrie Financial Inc
  • Agent: MHBC Planning (Kory Chisholm)
  • Phone: 705-728-0045 ext. 224
  • Email: kchisholm@mhbcplan.com

 

Location Map

 

Proposed Development

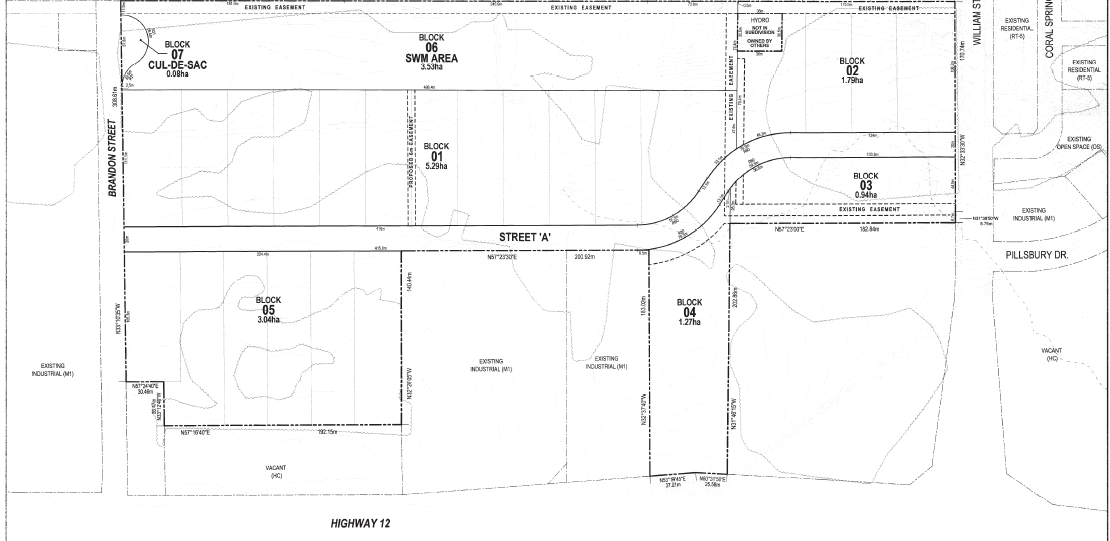
The purpose of the application is to facilitate the development of 5 blocks of land for employment uses, 1 new municipal right-of-way (road), and a centralized stormwater management pond to service the subject lands and the abutting approved residential draft plan of subdivision to the north (currently subject to redline revision and Zoning By-law Amendment applications, application File No. MD-T-0108 and ZBA-06-20).

Please note that no change in land use is proposed and the existing permitted uses of the Industrial (M1) Zone would continue to apply.

Supporting Documents

Status

Council approved the Draft Plan of Subdivision at its December 6, 2023 meeting, subject to a number of Conditions. The applicant is working towards clearing the Draft Plan Conditions.

 

Draft Plan of Subdivision
Draft Plan of Subdivision

 

Contact Us

Town of Midland
575 Dominion Avenue
Midland, ON L4R 1R2
Contact Us