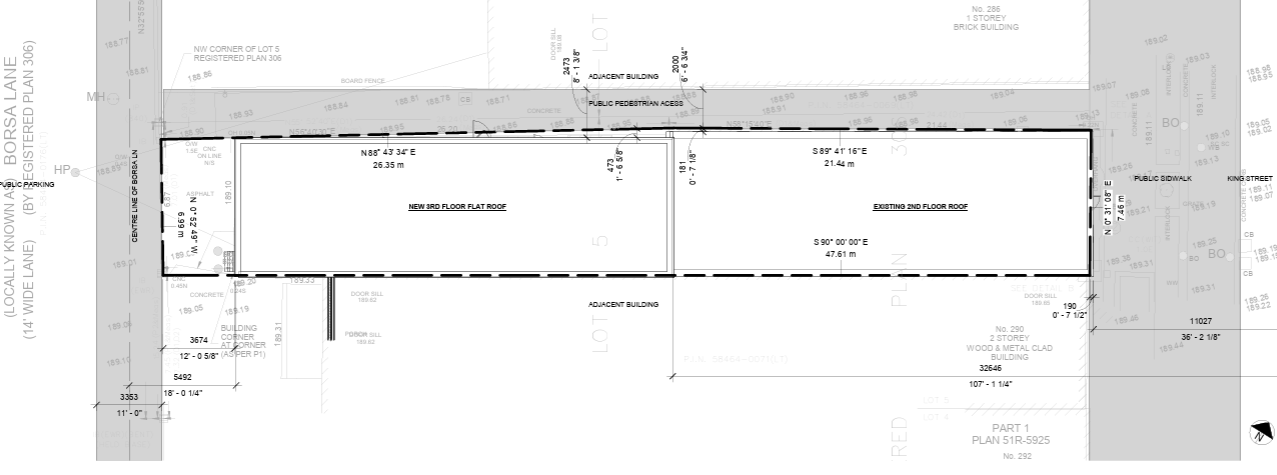
288 King Street
Planning Application SPA-09-25
Applicant
Owner: Balliu Holdings Inc.
Agent: Julius Horvath Architect Inc. (Julius Horvath)
Phone: 289-380-0407
Email: julius@jhorvatharchitect.com
Proposed Development
The purpose of the application is to obtain site plan approval for the redevelopment of the building to include a renovation of the second floor to include one residential unit and two offices and the addition of a third storey containing three residential units.
Status
First submission has been received and is under review.
Contact Us
Town of Midland
575 Dominion Avenue
Midland, ON L4R 1R2
Contact Us