Applicant
Owner: Pratt Developments Inc and Barrie Financial Inc
Agent: MHBC Planning (Kory Chisholm)
Phone: 705-728-0045 ext. 224
Email: kchisholm@mhbcplan.com
Proposed Development
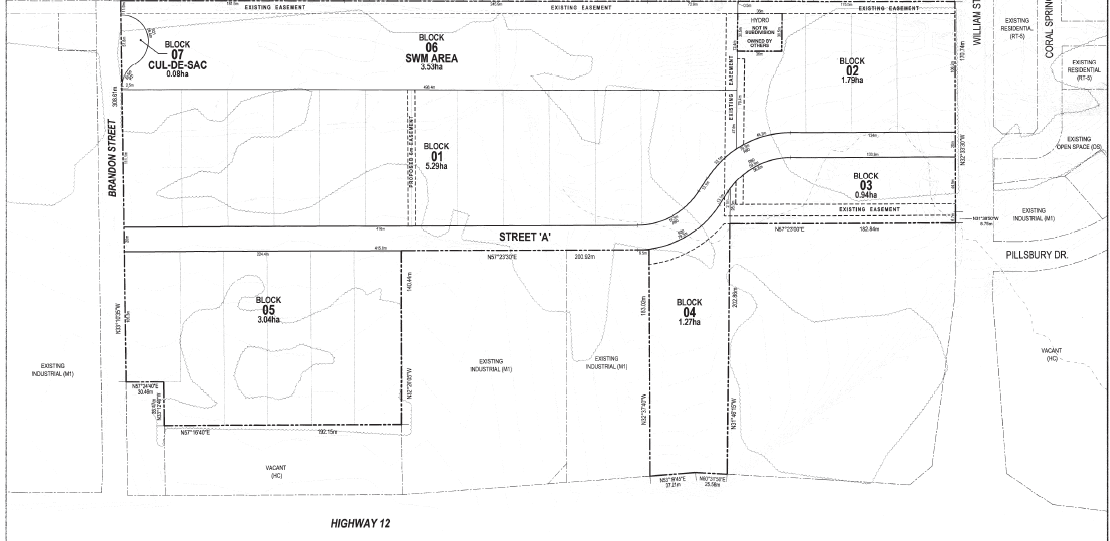
The purpose of the application is to facilitate the development of 5 blocks of land for employment uses, 1 new municipal right-of-way (road), and a centralized stormwater management pond to service the subject lands and the abutting approved residential draft plan of subdivision to the north (currently subject to redline revision and Zoning By-law Amendment applications, application File No. MD-T-0108 and ZBA-06-20).
Please note that no change in land use is proposed and the existing permitted uses of the Industrial (M1) Zone would continue to apply.
Supporting Documents
Draft Plan
Planning Justification Report
Traffic Impact Study
Hydrogeological Assessment
Environmental Impact Assessment
Preliminary Servicing and Stormwater Management Report
Servicing and Stormwater Management Drawing Set
Stage 1-2 Archaeological Assessment
Status
Council approved the Draft Plan of Subdivision at its December 6, 2023 meeting, subject to a number of Conditions. The applicant is working towards clearing the Draft Plan Conditions.

Location Map

