Applicant
Owner: Jason Redman
Agent: Not applicable
Phone: Not applicable
Email: Not applicable
Proposed Development
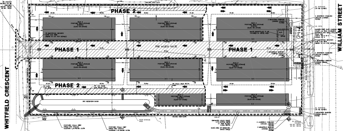
The purpose of the application is to construct a self-storage facility with 8)one-storey buildings on the subject lands in two phases. Phase 1 of the proposed development would include 3 self storage buildings, the driveway, retention basin and the associated site works. Phase 2 will include 5 self storage buildings and the associated site works.

